- 등록일2020.10.04
- 조회수12,806

안녕하세요.
반려동물의 따뜻하고 건강한 삶을 위한 잠실24시 잠실on동물의료센터입니다 :)
오늘은 강아지 골반골절로 수술받은 3살 시바 아이 이야기를 잠실24시 동물병원에서 이야기해 드리겠습니다.
< 강아지 골반골절 >
품종 - 시바
나이 - 3살
시바 아이는 강원도 속초에 살고 있는 아이로, 교통사고를 당해 골반골절이 의심된다는 지역 병원의 소견을 듣게 되셨다는데요.
진통제 처방과 함께 안락사를 해야 할 수도 있다는 이야기를 듣게 되셨지만 치료에 대한 희망을 놓지 않으시고 잠실24시 동물병원으로 내원하시게되었습니다.
시바 아이는 식욕이 거의 없는 상태로 전혀 움직이지 못하는 상태였고, 며칠간 배뇨 배변을 하지 못하고 있었습니다.
보호자님과의 상담을 통해 신경계 손상과 비뇨기계 손상, 그리고 다발성 장기 손상에 대한 평가를 진행하기로 했습니다.
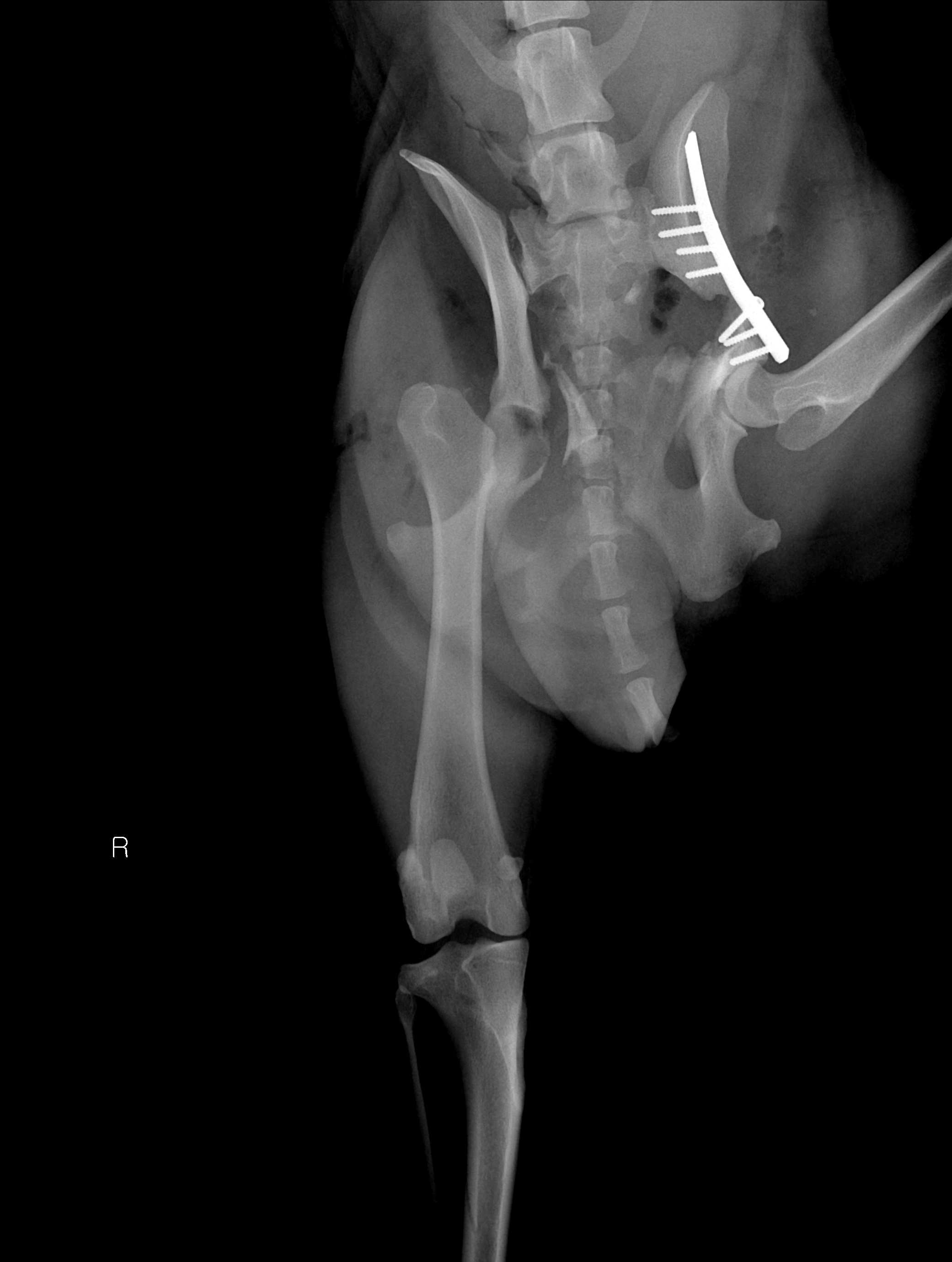
엑스레이 검사에서 흉복부에는 특이 소견이 없었고, 좌측 골반골절과 우측 고관절 탈구가 확인이 되었습니다.
다행히 신체검사에서 촉진 시 신경 반사가 확인되어 골반골절과 고관절 탈구에 대한 응급수술이 진행이 되었습니다.
혈액검사에서는 백혈구 수치인 WBC 수치와 염증수치 CRP 수치 상승 이외에는 별다른 특이 소견은 없었습니다.
안전하게 마취 진행 후 수술이 진행되었습니다.

수복 시간이 길어져 마취 시간이 과도하게 길어질 경우 위험할 수 있기 때문에 아이 상태에 맞춰 1차, 2차로 나뉘어 순차적으로 수술이 진행이 되었습니다.
1차 수술에서는 좌측 골반 골절부의 대한 골절 수술이 진행이 되었고, 골절부 골편이 여러 개로 나누어져 있어 섬세한 수술 스킬이 필요한 상태였습니다.
플레이트를 이용해 여러 개로 나누어진 뼈들을 맞춰 1차 수술이 마무리되었습니다.
1차 수술 후 높아진 혈액 수치들을 낮춰주며 회복을 도와줬고, 안정화된 뒤 2차 수술이 진행이 되었습니다.

오른쪽 탈구된 고관절은 대퇴골두에 의해 통증 유발과 함께 관절 운동을 저해하고 있어 탈구부 대퇴골두를 절단해 주어 수술을 마무리해 주었습니다.
수술 후 시바 아이의 모습인데요.
기립이 불가능하고, 움직일 수 없었던 증상이 확연하게 개선되어 2차 수술 후 스스로 서있는 모습을 보였고, 가볍게 보행이 가능할 정도로 빠르게 회복이 되는 모습을 보였습니다.
골절 수술 후 운동 제한이 회복과 좋은 예후를 위해 운동 제한이 반드시 필요해, 활동하는 공간을 작은 공간에서 점차적으로 늘려가는 것으로 주의사항과 함께 안내해드렸습니다.
시바 아이는 1차, 2차 수술 후 건강하게 회복되어 보호자님 품으로 돌아가게 되었습니다 :)
골절은
골절 상태에 따라 수술 방법이 달라질 수 있습니다
아주 가벼운 골절은 깁스로 뼈를 고정시키기도 하지만, 심한 골절의 경우 플레이트, 나사 등을 이식하는 수술을 진행하게 됩니다.
이식되는 플레이트는 피부의 이물감이나 자극이 없다면 제거하지 않으셔도 되며, 아이가 불편해할 경우 전문수의사선생님과의 상담을 통해 제거 수술 진행을 고민해보시는 것이 좋습니다.
아이의 골절 상태와 뼈 굵기 등에 따라 플레이트 종류와 크기, 나사못의 위치가 달라질 수 있기 때문에 되도록 전문수의사선생님께 골절 수술을 진행해보실 것을 권해드립니다 :)
골절은
합병증을 유발하기도 합니다
골절은 골절 발생 즉시 치료하지 않으면 합병증을 유발하게 됩니다.
뼈가 잘못된 위치에 유합이 되거나 성장기 강아지의 경우 성장이 원활하게 이루어지지 않을 수 있습니다.
뼈가 부러진 자리에 피부도 함께 찢어질 경우 피부가 찢어지면서 2차 감염이 발생해 골절된 뼈나 골수까지 감염시킬 수 있습니다.
작은 이벤트의 골절은
보호자님들께서 발견하지 못할 수 있습니다
교통사고와 같은 큰 이벤트는 보호자님들께서 빠르게 대처하실 수 있지만 쇼파나 침대에서 뛰어내리거나, 계단을 오르다 생기는 등의 작은 이벤트의 골절은 보호자님께서 알아차리지 못하시는 경우도 있습니다.
강아지에게 골절이 생기게 되면 통증이 매우 심하기 때문에 정상 보행을 하지 못하거나, 움직임이 현저하게 줄어들고, 특정 부위를 만지면 아파하거나 비명을 지르는 등의 모습을 보일 수 있습니다.
강아지가 갑자기 움직임이 줄어들거나, 특정 부위를 만졌을 때 아파하는 등의 증상을 보인다면 잠실24시 동물병원으로 내원하시어 전문수의사선생님의 도움을 받아보시길 바랍니다 :)
